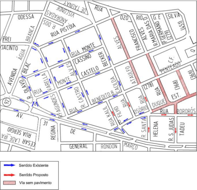
A Secretaria Municipal de Trânsito e Transportes (Semuttran), executará nesta sexta-feira (07), a mudança de mão de direção das seguintes ruas do bairro Verde:

– Santa Helena, entre a Avenida 31 de Março e Rua Bororós
– São Judas Tadeu, entre a Avenida 31 de Março e Rua Bororós
– Kalil Filho, entre a Rua Osório Duque Estrada e Rua Benedito B. Penteado
– Cacilda Becker, entre a Rua Osório Duque Estrada e Rua Benedito B. Penteado
– Ataufo Alves, entre a Rua Osório Duque Estrada e Rua Benedito B. Penteado
A proposta visa proporcionar maior fluidez no tráfego de veículos, segurança para travessia de pedestres e ainda aumentar a quantidade de vagas para estacionamento.

/* Menu/header hard-fix */
.navigation .menu, .smart-head .navigation .menu { display:flex !important; flex-wrap:wrap !important; align-items:center !important; }
.navigation .menu > li, .smart-head .navigation .menu > li { float:none !important; display:block !important; }
.navigation .menu > li > a, .smart-head .navigation .menu > li > a { line-height:1.2 !important; white-space:nowrap !important; }
/* Images fallback visual */
.post-thumb .img.bg-cover, .listing .media .img.bg-cover, .grid-post .img.bg-cover { min-height: 180px !important; background-position:center center !important; background-size:cover !important; }



